Powrót

Bezzałogowe Statki Powietrzne w WIORiN w Bydgoszczy

W minionym roku WIORiN w Bydgoszczy zrealizował ważny krok w kierunku ulepszenia swoich działań kontrolnych i monitorujących.

Ikona

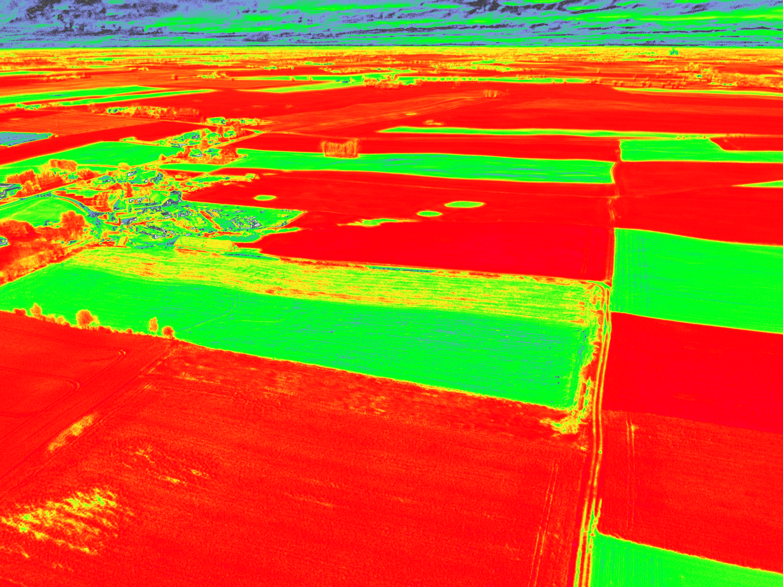
W ramach wdrażania Strategii Rozwoju PIORiN na lata 2022–2027, zakupiono dla inspektorów nowe bezzałogowe statki powietrzne (BSP) oraz specjalistyczne oprogramowanie Pix4D Fields, które umożliwia odczyt i interpretację danych zarejestrowanych podczas lotów.

Obecnie WIORiN dysponuje dziesięcioma dronami wyposażonymi w wysokiej klasy sprzęt optyczny. Większość z nich – osiem – została sfinansowana ze środków Wojewódzkiego Funduszu Ochrony Środowiska i Gospodarki Wodnej w Toruniu.

Szkolenia praktyczne, które miały miejsce w 2025 roku, przygotowały pracowników do obsługi i pilotażu dronów. Dzięki temu, dziewiętnastu inspektorów z oddziałów w takich miastach jak Bydgoszcz, Wąbrzeźno, Świecie, Grudziądz, Inowrocław, Radziejów, Rypin, Brodnica, Toruń, Tuchola oraz Żnin, posiada aktualnie niezbędne uprawnienia i przeszkolenie do obsługi BSP.

Drony stanowią dla inspektorów nieocenione narzędzie w codziennej pracy. Mogą być wykorzystywane m.in. do:

  • precyzyjnej obserwacji i mapowania plantacji nasiennych,
  • obrazowania powierzchni upraw wyłączonych z produkcji w trakcie ocen polowych, na przykład w wyniku suszy, przymrozków czy działalności zwierząt leśnych,
  • szczegółowych obserwacji podczas kontroli upraw GMO,
  • szybkiej identyfikacji zagrożeń wynikających z niewłaściwego stosowania środków ochrony roślin, szczególnie w uprawach kwitnących,
  • prowadzenia kontroli w czasie stosowania zabiegów chemicznych przez rolników,
  • lokalizacji ognisk chorób i szkodników w trudno dostępnych terenach,
  • pobierania prób wody (BSP z czerpakiem).

Wykorzystanie dronów znacząco zwiększa skuteczność i bezpieczeństwo działań inspektorów, pozwalając na szybsze i bardziej precyzyjne reagowanie na występujące zagrożenia. To kolejny krok w kierunku nowoczesnej i skutecznej ochrony upraw i środowiska w naszym regionie.

 

 

Zdjęcia (9)

{"register":{"columns":[]}}