Powrót

Rusza budowa obwodnicy Szwecji w ciągu DK22

07.03.2025

Wojewoda Zachodniopomorski wydał decyzję o zezwoleniu na realizację inwestycji drogowej (ZRID) dla obwodnicy m. Szwecja w ciągu DK22 o długości 4,2 km. Oznacza to, że wykonawca inwestycji (firma Budimex) będzie mógł rozpocząć roboty budowlane. Pierwsze prace powinny zostać przeprowadzone już w kwietniu. Równocześnie rozpocznie się procedura odszkodowawcza dla nieruchomości przejętych pod drogę.

Mapa z lokalizacją drogi i zdjęciem

Realizacja w formule Projektuj i buduj

Umowę na realizację obwodnicy Szwecji o wartości 60,7 mln zł podpisaliśmy w lutym 2024 roku. Wykonawca w grudniu ubiegłego roku zakończył przygotowywanie projektów budowlanych i złożył wniosek o wydanie decyzji ZRID. Równocześnie ruszyło opracowywanie projektów wykonawczych, które obecnie są na ukończeniu. Zgodnie z kontraktem budowa obwodnicy potrwa 15 miesięcy z wyłączeniem okresów zimowych od 16 grudnia do 15 marca. Zakończenie realizacji inwestycji planowane jest wiosną 2027 roku. 

Wydana właśnie decyzja ZRID ostatecznie zatwierdziła rozwiązania projektowe oraz podziały nieruchomości. Szczegółowe informacje dotyczące procedur związanych z nieruchomościami przejmowanymi pod drogę znaleźć można na naszej stronie internetowej. 

Obwodnica od wschodu ominie Szwecję

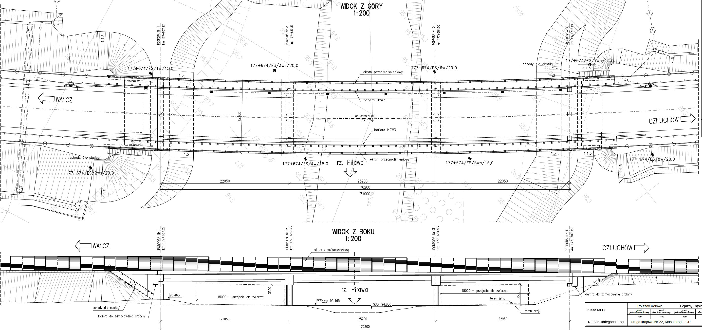
Obwodnica Szwecji, położonej tuż przy granicy woj. zachodniopomorskiego i wielkopolskiego, będzie jednojezdniową drogą klasy GP (główna ruchu przyspieszonego). Przetnie rzekę Pilawa, na której planowana jest budowa mostu o długości 71 metrów. Obiekt będzie również pełnił funkcję dolnego przejścia dla zwierząt. W ramach inwestycji powstaną także dwa wiadukty dla dróg lokalnych nad obwodnicą oraz dwa ronda na początku i końcu trasy. 

Nowe obwodnice na Pomorzu Zachodnim

W rozpisanym na lata 2020-2030 rządowym Programie budowy 100 obwodnic, poza obwodnicą Szwecji, znajduje się jeszcze osiem inwestycji na Pomorzu Zachodnim. Pierwszą zakończoną inwestycją jest obwodnica Gryfina w ciągu DK31, z której kierowcy korzystają od grudnia ubiegłego roku. Do końca zbliża się budowa obwodnicy Szczecinka w ciągu DK20, ktorą kierowcy pojadą w II kwartale tego roku. W ubiegłym roku podpisaliśmy umowy na zaprojektowanie i budowę trzech innych obwodnic – Rusinowa i Wałcza na DK22 oraz Stargardu na DK20. Dla tych tras trwają prace nad projektami budowlanymi i w ciągu kilku miesięcy powinny ruszyć procedury wydawania decyzji ZRID. 

Dla obwodnicy Kołbaskowa w ciągu DK13 trwa sprawdzanie ofert złożonych w przetargu na budowę. Inwestycja będzie realizowana wspólnie z II etapem obwodnicy Przecławia i Warzymic (nowy węzeł łączący A6 z DK13). W przetargu jest również obwodnica Złocieńca w ciągu DK20, gdzie oferty wykonawców powinniśmy poznać 21 marca. 

Dla obwodnicy Człopy w ciągu DK22, w związku z rozstrzygnięciem sądu, będzie wymagane ponowne uzyskanie decyzji środowiskowej. 

Zdjęcia (3)

{"register":{"columns":[]}}