2022 r.
-
21.12.202210 ofert w przetargu na realizację kolejnego odcinka S12Budżet GDDKiA na zaprojektowanie i budowę niespełna 10 km drogi ekspresowej S12 z Piask do Dorohuczy wynosił blisko 453 mln zł. Oferty złożone przez zainteresowanych realizacją wykonawców wynosiły od ok. 358 do 585 mln zł. Sześć z nich jest poniżej naszego budżetu.
-
20.12.2022Z A1 znikają ostatnie zwężeniaOd jutra, na odcinku pomiędzy węzłami Piotrków Trybunalski Południe i Kamieńsk, będzie dostępna cała szerokość jezdni autostrady A1, czyli trzy pasy w kierunku Gdańska, To ostatni fragment autostrady A1, gdzie wprowadzamy taką zmianę. Niespełna przed miesiącem udostępniliśmy do ruchu całą szerokość jezdni w kierunku Katowic. Oznacza to, że na całym, niemal stukilometrowym odcinku od Tuszyna do Częstochowy mamy dwie jezdnie po trzy pasy ruchu.
-
20.12.2022Droga ekspresowa S5 Ornowo - Wirwajdy oddana do ruchuPięć miesięcy przed umownym terminem udostępniliśmy kierowcom odcinek drogi ekspresowej S5 Ornowo - Wirwajdy. Kontrakt o wartości 204 mln zł zrealizowała firma Budimex. Zadaniem wykonawcy było wybudowanie odcinka drogi ekspresowej S5 o długości ok. 5 km.
-
20.12.2022Dwa pasy ruchu z S2 na S17 w kierunku LublinaDziś (20 grudnia) rozpoczynamy wprowadzanie zmian w organizacji ruchu na S17 Warszawa Wschód (Zakręt) - Lubelska. W pierwszej kolejności udostępnimy przejazd na wprost DK92 pod węzłem Warszawa Wschód. W środę (21 grudnia) kierowcy wjadą na jezdnię S17 w kierunku Lublina. W czwartek (22 grudnia) około południa udostępniona zostanie jezdnia w stronę Warszawy oraz dwa pasy ruchu na łącznicy węzła Lubelska z S2 POW na S17.
-
20.12.2022Rok pełen wyzwań i intensywnej pracyPodsumowanie 2022 roku, zmiany w dokumentacji przetargowej, aktualna sytuacja na rynku budowlanym oraz plany na przyszły rok - to główne tematy spotkania z branżą wykonawczą, które odbyło się 14 grudnia br.
-
20.12.2022Przetarg na ostatni odcinek S19 na PodkarpaciuDo publikacji w Dzienniku Urzędowym Unii Europejskiej skierowaliśmy ogłoszenie o przetargu na zaprojektowanie i budowę drogi ekspresowej S19 na odcinku Lutcza - Domaradz. Ogłoszenie ukaże się niebawem na platformie zakupowej GDDKiA. W treści opublikowanego ogłoszenia znajdą się szczegółowe informacje dotyczące zakresu zamówienia, a także warunki i kryteria udziału w przetargu.
-
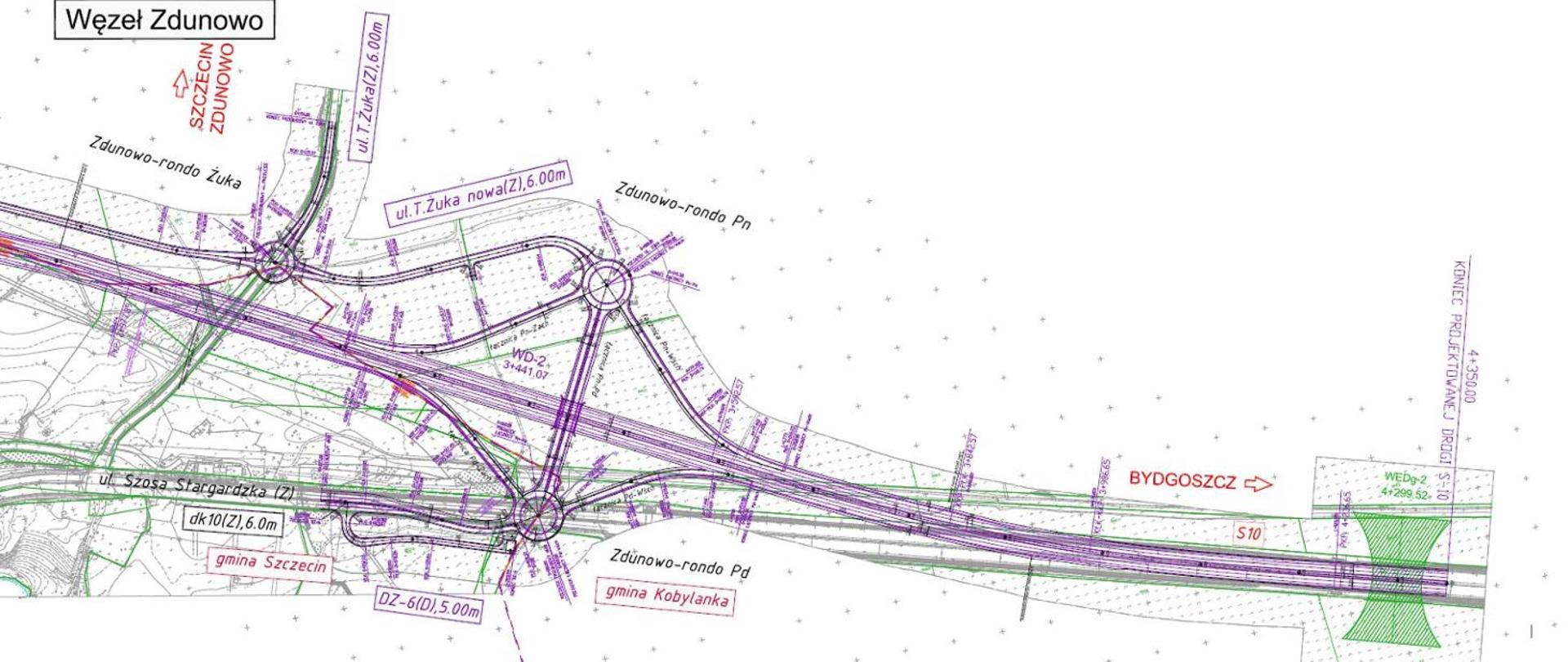
19.12.2022Jest decyzja środowiskowa dla S10 Szczecin Kijewo - Szczecin ZdunowoUzyskaliśmy decyzję środowiskową dla drogi ekspresowej S10 Szczecin Kijewo - Szczecin Zdunowo o długości ok. 4,35 km. W wydanej przez Regionalną Dyrekcję Ochrony Środowiska w Szczecinie decyzji określono przebieg drogi i środowiskowe warunki jej realizacji. Dla inwestycji w przyszłym roku ma zostać zakończona dokumentacja koncepcyjna wraz z badanami podłoża. Następnie planowana jest realizacja inwestycji w formule Projektuj i buduj.
-
19.12.2022Złożyliśmy wniosek o wydanie decyzji środowiskowej dla S11 Kórnik - JarocinRuszył kolejny etap przygotowań do budowy 36-kilometrowego odcinka drogi ekspresowej S11 Kórnik - Jarocin. Do Regionalnej Dyrekcji Ochrony Środowiska w Poznaniu (RDOŚ) złożyliśmy wniosek o wydanie decyzji środowiskowej (DŚU). Efektem końcowym przeprowadzonego postępowania administracyjnego będzie zatwierdzenie przebiegu nowej drogi ekspresowej.
-
16.12.2022Dwa odcinki S7 z dofinansowaniem UEPonad 1 mld zł wyniesie dofinansowanie ze środków UE na budowę dwóch odcinków drogi ekspresowej S7 o łącznej długości ponad 37 km. Będą to odcinki w województwie małopolskim: Moczydło (granica województwa świętokrzyskiego/małopolskiego) - Miechów oraz Widoma - Kraków. Koszt obu inwestycji, włącznie z nadzorem i wykupem gruntów, wynosi łącznie ponad 3,3 mld zł. Uwzględniając dwie dzisiejsze umowy w ramach POIiŚ GDDKiA zawarła już 80 umów na dofinansowanie inwestycji drogowych ze środków unijnych.
-
16.12.2022Konkurs „Innowacje w drogownictwie”. Poznaliśmy zwycięzców!Rozstrzygnęliśmy Konkurs „Innowacje w drogownictwie”. We wszystkich trzech kategoriach zgłoszone zostały w sumie 22 prace. Spośród nich Kapituła Konkursu wyłoniła zwycięzców. Gratulujemy!